👁Visitas: 4371219

G4JS3V-XgAAuvUH

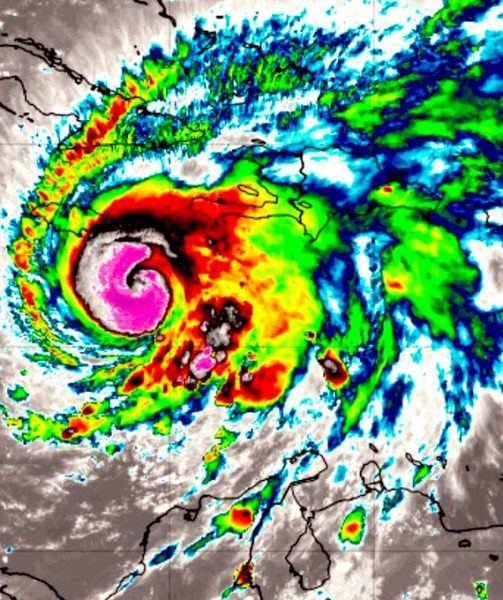
Huracán Melissa alcanza categoría 4 y amenaza con impactos catastróficos

El huracán Melissa ganó fuerzas rápidamente durante la madrugada del domingo y alcanzó la categoría 4 en la escala Saffir-Simpson, con vientos máximos sostenidos de 220 kilómetros por hora (140 mph), según el Centro Nacional de Huracanes de Estados Unidos (NHC).

El fenómeno ha sido descrito como «extremadamente peligroso», amenaza con provocar inundaciones y deslizamientos de tierra catastróficos en Jamaica y en el sur de La Española (que comprende Haití y República Dominicana) hasta mediados de la próxima semana.

A las 5:00 de la mañana (hora del Este), el centro de Melissa se localizaba cerca de la latitud 16.3 Norte y longitud 76.3 Oeste, aproximadamente 195 kilómetros al sur-sureste de Kingston, Jamaica, y 450 kilómetros al suroeste de Guantánamo, Cuba.

El huracán se desplaza lentamente hacia el oeste a 7 km/h, con una presión central mínima de 944 milibares.

El pronóstico indica que Melissa mantendrá su fuerza como huracán mayor mientras se aproxima a Jamaica entre la noche del lunes y la mañana del martes. Posteriormente, se espera que cruce el sureste de Cuba el martes por la noche y las Bahamas del sureste el miércoles.

El NHC mantiene en efecto un aviso de huracán para toda Jamaica, y una vigilancia de huracán para la península suroeste de Haití —desde la frontera con República Dominicana hasta Puerto Príncipe—, así como para las provincias cubanas de Granma, Santiago de Cuba, Guantánamo y Holguín.

También está vigente un aviso de tormenta tropical para el suroeste de Haití.

Deja una respuesta

Tu dirección de correo electrónico no será publicada. Los campos obligatorios están marcados con *